PROPERTY FOR SALE > 2431, SOUTH WEST ROCKS, NSW, Australia
For Sale > Retirement Village Devlopment
Real Estate For Sale New South Wales
| Price: | $1,500,000 | ||
|---|---|---|---|
| Status: | SOLD | ||
| Address: | 52 Belle Occonnor street, SOUTH WEST ROCKS, 2431, NSW | ||
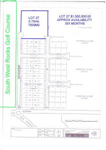
| Land Size: | 0.75 ha | ||
Residential Development Property
0.75 HA Site adjacent to Golf Course, 400m to shopping Centre(lot 27)
On the Mid North Coast of New South Wales lies an undiscovered jewel. South West Rocks is perfectly positioned just five hours from Sydney's metropolitan centre, but this gentle bay boasts a secluded and untouched beach lifestyle. Long loved as a holiday getaway spot, this is your chance to make SaltWater Estate your new home. Land for sale in prestigious masterplanned estate running next door to South West Rocks Golf Course.
Buying or Selling?
Search our Business Directory for services to help you
Compare Home Loans
Contact Details For This Property (AD ID: A5187)
| Status: | SOLD |
|---|---|
| Asking Price: | $1,500,000 |
